Trieste Nomentano appartamento ampia metratura frazionabile - Trieste Nomentano
€ 598.000,00
163 mq
8,5 vani
3 camere
2 bagni
1 piano

Trieste Nomentano partamento di ampia metratura frazionabile

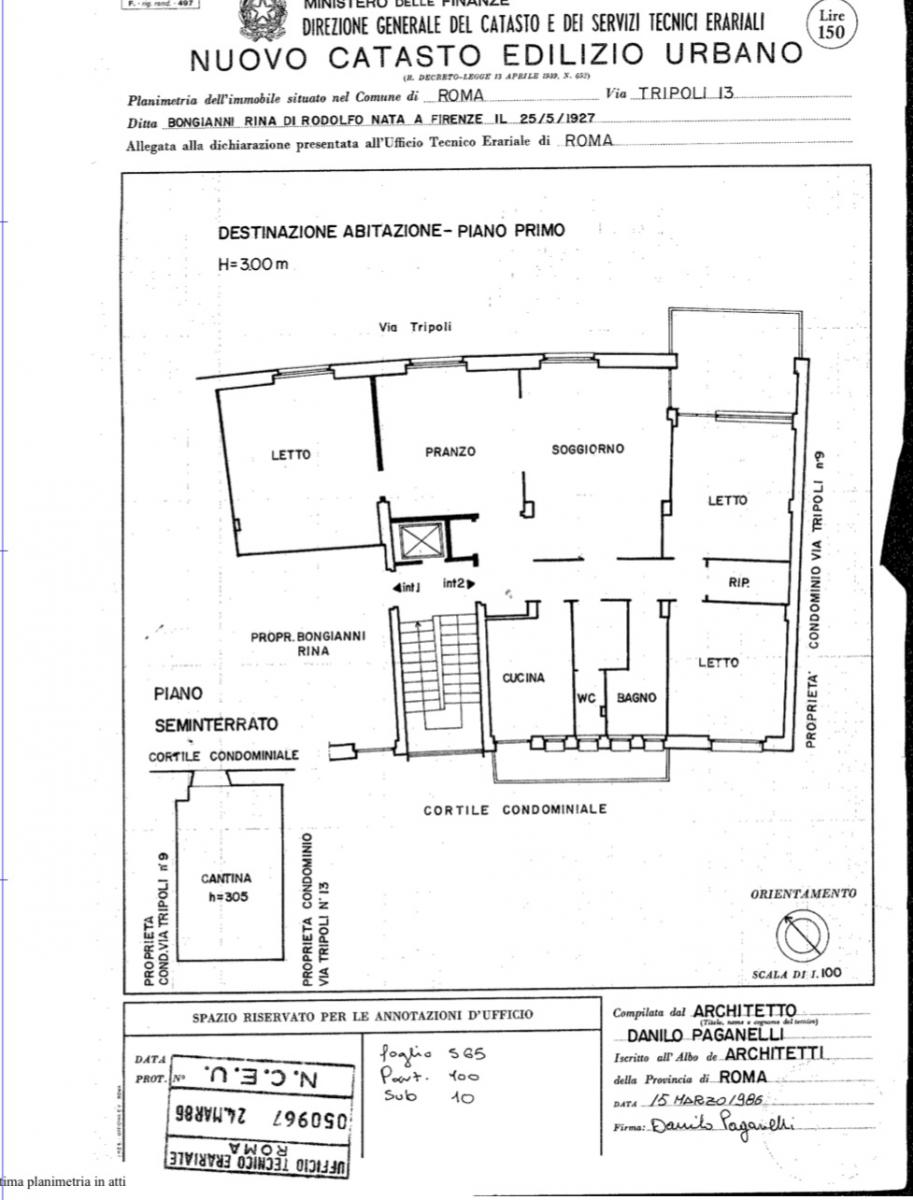
A pochi passi dalla metro B Libia e tra i verdi parchi di Villa Leopardi e Villa Blanc, poniamo in vendita un appartamento di ampia metratura posto al piano primo di uno stabile degli anni 50, composto da: un ingresso, salone doppio, 3 camere da letto matrimoniali, una piccola camera di servizio con bagno annesso, 1 bagno padronale, cucina abitabile, due ampi ripostigli, un terrazzo con affaccio su Via Tripoli, un balcone. L’appartamento è dotato di riscaldamento centralizzato con contabilizzatori e la proprietà è inoltre completata da una grande cantina di circa 25 m quadri con accesso da una chiostra condominiale al piano terra . La planimetria consente di realizzare 2 diverse unità immobiliari, come pure è possibile realizzare un terzo bagno. L' area commerciale di Viale Libia è a due passi e oltre alla metro B, insistono sulla stessa area numerosi mezzi di superficie che portano ad ogni destinazione con le linee 80, 544, 135 e a breve distanza troviamo la stazione Nomentana, con le linee ferroviarie che portano a Fiumicino aeroporto e comuni limitrofi.

 

 

INDICE DI PRESTAZIONE ENERGETICA GLOBALE
≥ 175 kWh/m2a | Classe energetica G
Planimetria
Posizione Immobile
Ti interessa questo immobile?
Richiedi maggiori informazioni
CHIAMACI
SCRIVICI

Dicono di noi

Agente Immobiliare Abilitato e Certificato