Piazza Santi Apostoli 49 - Centro Storico
€ 1.800.000,00
220 mq
6,5 vani
5 camere
2 bagni
1 piano

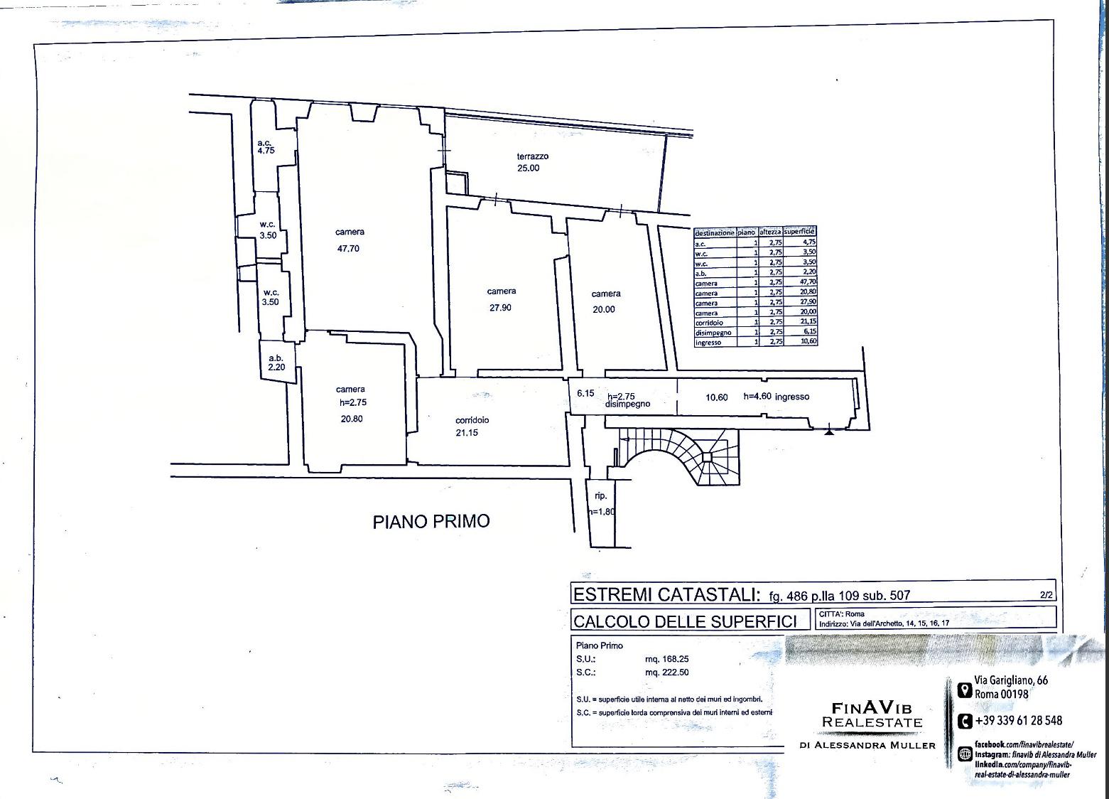
Nella storica cornice di Piazza Santi Apostoli e Via dell'Archetto in edificio di alto pregio noto come Palazzo Balestra, proponiamo un esclusivo immobile di alta rappresentanza posto al piano primo con affaccio su Piazza della Pilotta, attualmente accatastato come A/10, ma con possibilità di ripristino ad abitativo. Composizione : ingresso, corridoio , disimpegno, 3 camere, salone doppio, 2 servizi, angolo cottura, terrazza abitabile di circa 25 mq con affaccio sulla Piazza della Pilotta. Metri quadri complessivi 220. Sono state realizzate delle ipotesi di ristrutturazione per l' immobile in versione residenziale.

CLASSE ENERGETICA: G

INDICE DI PRESTAZIONE ENERGETICA GLOBALE
≥ 175 kWh/m2a | Classe energetica G
Planimetria
Posizione Immobile
Ti interessa questo immobile?
Richiedi maggiori informazioni
CHIAMACI
SCRIVICI

Dicono di noi

Agente Immobiliare Abilitato e Certificato